9706 FM 102 , Glen Flora , TX 77488
Property ID# 201025
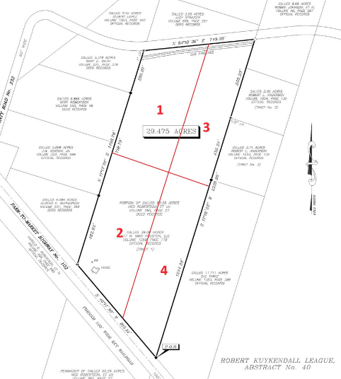
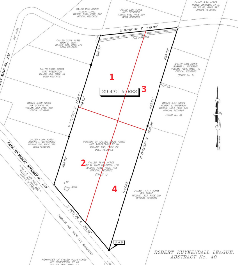
This unique Wharton, TX real estate opportunity is situated on FM 102 in Wharton, Texas, offering an ideal blend of rural living and investment potential. The property includes a 3-bedroom, 1-bathroom single-family home with 1,260 square feet of living space, built in 1950. Spanning an impressive 29.475 acres, the land provides ample space for recreation, or future development, with the added benefit of being subdividable into multiple parcels.
The existing home offers a functional layout and strong potential for renovation, expansion, or rental use. With extensive acreage surrounding the residence, buyers have the flexibility to add additional homes, barns, or outdoor amenities. Road frontage along FM 102 allows for easy access while maintaining the privacy and quiet atmosphere of the Wharton County countryside.
Set just outside the city of Wharton, the property provides peaceful Texas country living while remaining close to local schools, shopping, dining, and essential services. Convenient access to major roadways makes travel to nearby towns and the greater Houston area simple, making this an excellent option for buyers searching for acreage in Wharton, TX, a private homestead, or a long-term land investment.
We can split this parcel into 4 individual pieces:
Parcels 1 and 2 (each parcel price):
$219,999 with 10,999 down
$217,999 with 14,999 down
$215,999 with 18,999 down
Parcels 3 and 4 (each parcel price):
$199,999 with 9,999 down
$197,999 with 12,999 down
$195,999 with 15,999 down
Property Details
| Property Status | Available |
| Property Sq. Ft. | 1260 |
| Lot Size | 1283931 |
| Bedrooms | 3 |
| Bathrooms | 1 |
| Stories | 1 |
| Year Built | 1959 |
| Property Type | Land |
| City | Glen Flora |
| State | Texas |
| Zipcode | 77488 |
| County | Wharton |
| School District | El Campo ISD |
| Market Area | Victoria |
| MLS# | 97889996 |
Pricing
| OPTION ONE | OPTION TWO | OPTION THREE | |
| Price | $755,999.00 | $752,999.00 | $747,999.00 |
| Term Limit | 30 years | 30 years | 30 years |
| Downpayment | $37,000.00 | $40,000.00 | $49,000.00 |
| Estimated Taxes | $3,554.58 | $3,554.58 | $3,554.58 |
| Monthly Payment* | $7,691.38 | $7,629.66 | $7,485.67 |
*Escrow is factored into your final monthly payment
| OPTION ONE | |
| Price | $755,999.00 |
| Term Limit | 30 years |
| Downpayment | $37,000.00 |
| Estimated Taxes | $3,554.58 |
| Monthly Payment* | $7,691.38 |
| OPTION TWO | |
| Price | $752,999.00 |
| Term Limit | 30 years |
| Downpayment | $40,000.00 |
| Estimated Taxes | $3,554.58 |
| Monthly Payment* | $7,629.66 |
| OPTION THREE | |
| Price | $747,999.00 |
| Term Limit | 30 years |
| Downpayment | $49,000.00 |
| Estimated Taxes | $3,554.58 |
| Monthly Payment* | $7,485.67 |
Location
Plat Map
Most residential loans are pre-approved in one day with possession after closing in as little as 10 days! There is no credit score required or application fee. To qualify to buy one of our residential properties, you must provide us with evidence of 12 consecutive months of rental payments and evidence that your monthly debt, including the monthly payment of the home, isn't more than 43% of your pretax income. Monthly payments include escrow amounts for property taxes and insurance. Prior to closing, the monthly payment presented to buyers is an estimated monthly payment. The buyer is responsible to pay the first year insurance premium prior to the property closing and provide proof of payment 5 days before the closing. The actual monthly payment amount is determined once the buyer provides the prepaid insurance. The insurance premium for the subsequent years is collected in the monthly payment and held in escrow.
EXAMPLE: Sales Price: $129,999.00 with a down payment of $7,500.00 has a total monthly payment of $1,714.95 based on a 30 year loan.
The $1,714.95 per month is based on an 11.999% interest rate on a 365 day-year with an APR of 12.429%.
Estimated monthly payment includes principal and interest, estimated tax escrow payment, but it does not include the property insurance escrow payment. The APR for this loan is 12.429%. All information presented on the website is deemed to be reliable; however, it is not guaranteed to be accurate and is subject to change without notice including the sale prices.
In addition to the monthly payment, buyer understands and agrees to pay a monthly loan servicing fee of $30.00* (this amount is subject to change). The $30.00 monthly loan servicing fee applies to residential homestead property and/or vacant land if purchased as a homestead with plans to build within 6 months. The monthly loan serving fee for commercial or investment is subject to the sales price of the property.
All square footage for property improvement area and/or land area that is displayed is approximate and is not guaranteed as accurate. We recommend that all buyers conduct their own research. We further recommend that the buyer should always purchase a property survey and inquire with the appropriate authorities that the property they desire to purchase or lease can be used for their intended purpose. The seller makes no representation or warranty as to the accuracy of the property description and/or property information or the buyer’s ability to use the property for their intended purpose.
Our property specialists sell our homes. They cannot and will not offer or negotiate loan rates, terms or provide counsel for interest rates or loan terms. They may perform clerical and support activities for loan processing including communication to obtain the necessary information to process or underwrite a loan. We offer the same fixed interest rate of 11.999% per year (12.429% APR) on all loans for the purchase of our properties. Our lease agreements are a minimum of two years. After the first year of tenancy the monthly rent will automatically increase by 10%.
Seller reserves the right to highest & best offer at sole discretion. Properties many times will sell for more than list price.
*These conditions are subject to change
All Specials and Deal Of The Week are subject to conditions and restrictions may apply.
Taxes are estimated with Homestead Exemption.
For Commercial, Investment, and any property that is not the buyer's residence and will not be the buyer's homestead, a 3 year/10% prepayment penalty will apply.
For properties sold on busy streets or highways, the seller reserves the right to retain a small portion of the land as a sign easement.